If you’ve worked on more than a few automated test stations, you’ve probably felt this pain. Every line, bench, or site becomes its own custom framework—different sequence patterns, device drivers, report styles, and operator UIs. Your engineering team needs expertise on numerous test platforms, with an ever-growing list of new ones to learn. That patchwork is costly to maintain and hard to scale without outsourcing everything.
Standardizing helps, but building a “company framework” from scratch can take quarters (or years) and divert your best engineers. Even after it’s built, engineers inevitably come and go, and soon you may be left with no one who truly understands what you’ve built in-house.
CORTEX changes the equation.
What Is CORTEX?
CORTEX is a modular automated test framework built on NI TestStand and LabVIEW that engineering teams use to standardize production and non-real-time validation workflows. It combines a hardware abstraction layer (HAL), custom step types, process model and reporting plugins, and an operator-friendly application to deliver a repeatable platform you can deploy across benches, stations, and sites.
Is CORTEX Right for Your Team?
Choose CORTEX if you want to stop reinventing a framework for every new station, deploy consistently across benches and sites, integrate quickly with diverse hardware, and improve reliability with standardized safety and reporting.
Ready to standardize your test platform? Contact us to schedule your CORTEX demo.
CORTEX Highlights
- CORTEX standardizes sequencing by leveraging TestStand with a custom Sequence Editor and reusable step libraries. TestStand is an open and industry-leading test sequencer, with plenty of experts who know how to develop tests using this tool and plenty of training for those looking to get started.
- It abstracts hardware through a HAL and plugin classes for your devices and instruments, including but not limited to: DMMs, Digital/Analog IO, Serial & Industrial Communications, Power Supplies, PLCs, and more.
- It prioritizes configuration over code with dynamic workspaces, station configurations, and socket mapping for multi-up stations. Your team can spend more time on the configuration without needing to be programming experts.
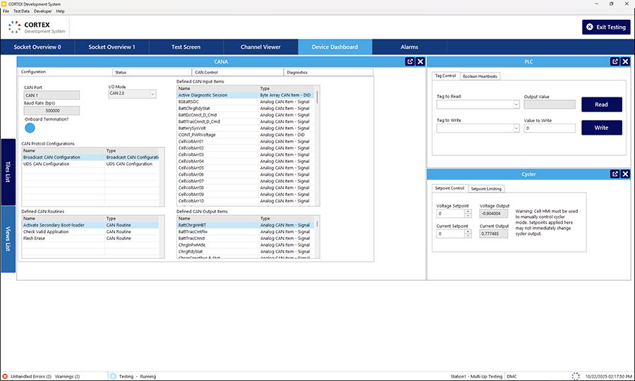
- It delivers a production–grade user experience with Auto and Manual test modes, device dashboards, live data channel viewer, alarms, and a roles-based user-permission schema.
- It ensures reporting and traceability with a combination of Test reports and engineering waveform logs, so you can understand what your test system was doing over the entire test, regardless of what you actually graded.
- It integrates with your ecosystem: Need to connect to your PLCs/MES for material handling? What about that company database you’ve standardized on? Does your IT want to control user permissions? No problem—CORTEX can integrate with PLCs, custom databases for custom reporting, and IT systems by using LDAP to ensure the application works well in your environment.
Architecture at a Glance
- The CORTEX app runs tests in Auto or Manual mode and provides dashboards, alarms, and live data visualization.
- The CORTEX Sequence Editor enhances TestStand with custom tools for workspace management, signal mapping, and test point configuration.
- TestStand process model and plugins handle device management along with safety interlocks, configuration management, and reporting workflows.
- The HAL and device plugins integrate instruments like power supplies, standard DAQ, and common industrial communication protocols like Modbus and Ethernet/IP that let engineers configure tests at a high level without the need to dive into low-level code.
- Data is captured in TDMS logs and TestStand reports, with the ability to correlate data output from both of these files and view them together to provide a comprehensive understanding of the test results.
What You Get Out of the Box
- Auto Test Mode runs looping, operator-focused sequences with perUUT reports and live sequence execution view with debugging tools.

- Manual Test Mode gives engineers direct control to run subsequences and operate instruments via device widgets.

- The Channel Viewer provides real-time signal plots for monitoring and troubleshooting.

- The Test Results Viewer correlates parametric results with waveform data for faster root cause analysis.

- Alarms and history views simplify troubleshooting and improve operator understanding of system operations.

- User permissions enforce role-based access for operators, engineers, and administrators.
- Safety monitoring runs independently to terminate execution if limits are exceeded.
How to Get Started with CORTEX
- Schedule a Discovery Call
We’ll start by learning about your current testing setup, your pain points, and your future needs. This helps us understand where CORTEX can deliver the most value. Contact us to schedule a call.
- See a Live Demo
We’ll walk you through the CORTEX framework, including its Sequence Editor, operator interface, and hardware abstraction layer. You’ll see how it simplifies test development and standardizes workflows.
- Discuss Your Hardware and Integration Needs
We’ll review the instruments, PLCs, and systems you need to connect, and outline how CORTEX’s plugin architecture can support them. These can include both short and long-term needs.
- Plan a Pilot Deployment
Identify a representative test station that we can deploy CORTEX to for an initial assessment and quick win. The best way to help you become convinced of the value of CORTEX and demonstrate the savings to your management is by experiencing it. After an initial deployment, we’ll work with your team to build a roadmap for scaling across your organization.
Need hard Real-Time Test Sequencing?
TestStand is awesome at many things, but one thing it’s not suited for is real-time deterministic sequencing (e.g., submillisecond HIL control). If you need software that can do real-time simulation, emulation, or test sequencing, reach out to DMC to learn more about our custom HIL test solutions, as demonstrated in these case studies:
- Power HIL Test Stand for an Autonomous Air Vehicle
- Battery Stack Simulator for Hardware in the Loop (HIL) Testing of Electric Vehicles
Ready to standardize your test systems? Contact DMC to schedule your discovery call and CORTEX demo.







